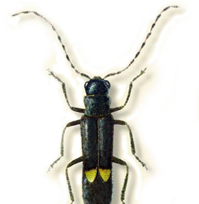
Durante le ricerche faunistiche promosse dal Parco Nazionale dell’Aspromonte ed effettuata all’interno dell’Area Protetta dagli entomologi del Laboratorio di Entomologia ed Ecologia Applicata dell’Università “Mediterranea” di Reggio Calabria, Carmelo Peter Bonsignore, Francesco Manti ed Elvira Castiglione e dallo specialista di Cantharidae Gianfranco Liberti (con l’ausilio dell’esperto Fabrizio Fanti) che da anni sta svolgendo uno studio sul genere Malthodes (Coleoptera Cantharidae) della Penisola, è stata rinvenuta una interessante popolazione del coleottero nei dintorni di Montalto (RC), che poi si è rivelata essere una specie nuova. La nuova specie è stata denominata Malthodes rheginus Liberti, in onore alla città Metropolitana di Reggio Calabria. Al momento, è stato raccolto un numero esiguo di esemplari (9 in tutto) di Malthodes rheginus, per cui saranno effettuate ulteriori ricerche, in particolare nella zona della faggeta, per definirne meglio l’areale, anche se si può già ipotizzare si tratti di un endemita della Calabria meridionale. “Il Parco Nazionale dell’Aspromonte – ha dichiarato il Presidente Giuseppe Bombino – sta portando avanti con grande impegno, ormai da diversi anni, una serie di progetti di ricerca nell’ambito entomologico, che stanno rivelando interessanti risultati e che rappresentano un fortissimo stimolo affinché i ricercatori vadano avanti. Questo intenso lavoro di studio, ricerca, raccolta e classificazione esalta l’enorme valore di diversità biologica custodito in alcune aree del Parco. L’indagine sta continuando su diverse altre specie di insetti ancora in fase di studio, ma che da analisi preliminari fanno già prevedere ulteriori ed importanti risultati e sorprese. Conoscere il nostro territorio anche attraverso il suo patrimonio entomologico contribuisce a definire misure di conservazione sempre più appropriate nonché le migliori azioni per valorizzare la biodiversità dell’Aspromonte, il cui patrimonio – ha concluso Bombino – in parte ancora da scoprire, consegna entità e creature che da migliaia di anni sono protette dalla Nostra ancestrale Montagna, la cui Natura viene tutelata e salvaguardata dal Parco Nazione”.
Reggio Calabria: scoperto in Aspromonte un nuovo insetto


Vuoi ricevere le notifiche sulle nostre notizie più importanti?