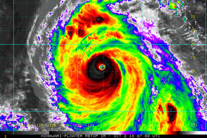
Il tifone Kong-Rey continua a presentarsi in maniera incredibile dalle ultime immagini satellitari: mantiene un grande occhio e un’intensa parete di nuvole intorno ad esso. La sua rotta non è cambiata molto e tiene ancora nel mirino le isole del Giappone, ma vediamo i dettagli degli ultimi aggiornamenti ufficiali su questo nuovo “mostro” del Pacifico.
Dalle immagini della gallery a corredo dell’articolo, potrete notare che il tifone ha un’incredibile struttura simmetrica con un occhio ben definito al centro. Secondo le ultime analisi, il tifone ha una pressione centrale di 917 mbar e venti massimi di circa 257 km/h che a volte si spingono fino a 305 km/h! Considerando che la soglia tra la 4ª e la 5ª categoria è di 249 km/h, Kong-Rey è ora un super tifone di categoria 5. Kong-Rey è passato dalla categoria 2 alla 5 in sole 24 ore: i venti massimi sono saliti da 177 km/h a 257 km/h in questo lasso di tempo, a sottolineare la rapida intensificazione del sistema.
Il super tifone dovrebbe mantenere l’intensità di categoria 5 per altri 1-2 giorni prima di iniziare a indebolirsi prima di raggiungere le isole Ryukyu nella giornata di venerdì 5. La rotta futura di Kong-Rey sulla base degli ultimi modelli prevede il rischio di un “landfall” sul Giappone sudoccidentale o persino sulla Corea del Sud nella giornata di sabato 6 ottobre. La traiettoria prevista porta questo pericolosissimo ciclone tropicale verso le Isole Ryukyu, che stanno ancora cercando di riprendersi dopo i venti devastanti di oltre 160 km/h del tifone Trami nello scorso weekend. Dopo le Isole Ryukyu, gli scenari sulla possibile traiettoria di Kong-Rey all’inizio della prossima settimana includono la possibilità che il tifone colpisca il Taiwan settentrionale e/o la Cina orientale o che viri verso nord-est in direzione del Giappone o della Penisola Coreana.
Una rotta più verso sud e ovest porterebbe venti devastanti su Miyakojima e Ishigaki tra giovedì 4 e venerdì 5 ottobre. Le isole saranno minacciate anche da piogge torrenziali. Forti venti potrebbero sferzare il Taiwan settentrionale, inclusa Taipei, nella giornata di venerdì 5. Tuttavia, gli effetti peggiori dovrebbero rimanere a nord dello stato anche se Kong-Rey seguisse una rotta più a sud di quanto previsto. Localmente saranno possibili venti devastanti e le forti piogge potrebbero provocare frane e alluvioni.
Se Kong-Rey continua la sua traiettoria verso nord-ovest, potrebbe impattare sulle coste cinesi da Wenzhou a Shanghai. Con una rotta più a nord verso le Isole Ryukyu, Okinawa affronterebbe il peggio della tempesta. Una virata più decisa verso nord risparmierebbe Taiwan e Cina, ma minaccerebbe la Penisola Coreana e il Giappone con alluvioni e forti venti nel weekend del 6-7 ottobre.
Se il “landfall” di Kong-Rey avvenisse in Giappone, sarebbe il 9° sistema tropicale e potenzialmente l’8° tifone a colpire lo stato quest’anno. “Il record di tifoni con landfall in una singola stagione è 10, del 2014”, spiega Jason Nicholls, meteorologo di AccuWerather. Dal momento che il Giappone è stato colpito duramente da numerosi sistemi tropicali in questo 2018, senza dimenticare le alluvioni storiche e l’ondata di caldo letale di questa estate, Kong-Rey sarebbe l’ennesima dura prova per un Paese che, per quanto soggetto e preparato a disastri naturali, sta davvero lottando strenuamente contro Madre Natura.















Vuoi ricevere le notifiche sulle nostre notizie più importanti?