Il Super Tifone Bolaven è una tempesta di 5ª categoria estremamente potente che attualmente imperversa nel Pacifico occidentale. Con venti sostenuti fino a 290 km/h e raffiche fino a 345 km/h, è la 2ª tempesta più forte sul pianeta quest’anno. Al momento si trova a più di 3.200 km a Est-Nord/Est delle Filippine e si sta dirigendo verso Nord in mare aperto. La tempesta si è intensificata a una velocità vertiginosa, i suoi venti sono aumentati di 150 km/h in sole 24 ore, unendosi a una serie di altre tempeste che si sono rapidamente rafforzate sulle calde acque oceaniche quest’anno.
Si prevede che Bolaven rimanga sul Pacifico settentrionale, evitando la terraferma poiché si indebolirà lentamente quando incontrerà acque più fredde. Per ora, rappresenta un pericolo soprattutto per i marittimi e gli aviatori.
L’intensificazione estremamente rapida di Bolaven
Bolaven si è originato come vortice disorganizzato, ma ha subito una delle più impressionanti esplosioni di rapida intensificazione tra martedì e mercoledì. È esploso da una tempesta di 1ª categoria con venti a 145 km/h a un violento tifone equivalente a 5ª categoria con venti a 257 km/h in sole 12 ore. E’ 4 volte il tasso necessario che qualifica una “rapida intensificazione“.

In 24 ore, la velocità del vento è aumentata di 152 km/h. “Non è molto al di sotto del record mondiale di intensificazione nelle 24 ore di 193 km/h, detenuto dall’uragano Patricia del 2015,” hanno scritto Jeff Masters e Bob Henson su Yale Climate Connections.
Con venti massimi sostenuti di 290 km/h, Bolaven segue di poco Mawar, la tempesta più forte di quest’anno. I venti di picco di Mawar hanno raggiunto i 297 km/h alla fine di maggio mentre si spostava a Nord/Est di Guam.
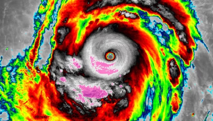
Nel satellite a infrarossi, Bolaven ha un aspetto sorprendente e non presenta imperfezioni dal punto di vista meteorologico: incarna una struttura da manuale con un occhio ben definito e imponenti temporali che lo circondano. I fulmini sono stati continuamente presenti dentro e attorno all’occhio del sistema, l’ennesimo segno di una tempesta di alto livello. La sua simmetria è altrettanto inquietante.
Si prevede che Bolaven rimarrà una tempesta di 5ª categoria per le prossime 24 ore poiché si muoverà prima verso Nord e poi verso Nord/Est. Nei 2-5 giorni successivi, accelererà verso Nord/Est e si allargherà in termini di dimensioni, mentre i suoi venti di picco diminuiranno sulle acque più fredde.


Vuoi ricevere le notifiche sulle nostre notizie più importanti?