L’attenzione del mondo intero è focalizzata in queste ore su Cuba Orientale, dove si sta preparando l’impatto di un evento meteorologico di portata eccezionale e potenzialmente devastante. L’Uragano Melissa, classificato come tempesta di 4ª Categoria sulla scala Saffir-Simpson, dovrebbe effettuare il landfall a breve, dopo aver già flagellato la Giamaica con una forza impressionante che lo colloca tra gli uragani atlantici più forti mai registrati. Le previsioni indicano che Melissa non solo colpirà le coste con venti fortissimi e mareggiate imponenti, ma che scatenerà anche piogge torrenziali capaci di innescare fenomeni idrogeologici critici, provocando danni che gli esperti definiscono unanimemente come “catastrofici” per aree densamente popolate come Santiago de Cuba e le regioni limitrofe. Le autorità cubane hanno avviato procedure di emergenza straordinarie nel tentativo di mitigare le perdite e proteggere la popolazione esposta a questa minaccia naturale di proporzioni gigantesche.
Allerta massima a Cuba: oltre 700mila evacuati
La nazione caraibica è in stato di massima allerta. Le autorità cubane hanno messo in atto un’imponente operazione di evacuazione che ha coinvolto più di 700mila persone, secondo quanto riportato da Granma, il giornale ufficiale. L’obiettivo primario è salvaguardare vite umane, una priorità sottolineata dal Presidente Miguel Díaz-Canel.
In un discorso televisivo, il Presidente ha assicurato che “nessuno viene lasciato indietro e nessuna risorsa viene risparmiata per proteggere le vite della popolazione“, ma ha anche lanciato un severo monito: non sottovalutare la potenza di Melissa, descritta come “la più forte mai ad abbattersi sul territorio nazionale“.
Le province che si preparano all’impatto sono quelle lungo la fascia orientale e centrale dell’isola, tra cui Granma, Santiago de Cuba, Guantanamo, Holguin e Las Tunas, per le quali è in vigore un avviso di uragano. L’allarme si estende anche alle Bahamas sudorientali e centrali. Già da lunedì le lezioni erano state sospese nelle province che vanno da Guantánamo, all’estremo Est, fino a Camagüey, quasi al centro della lunga isola.
Si registrano le prime inondazioni e i primi ingrossamenti di fiumi, poche ore prima che l’uragano tocchi terra. Secondo quanto riportato dai media ufficiali, alcune città hanno già accumulato fino a 90 mm. A Santiago de Cuba si segnalano già inondazioni in aree come Los Coquitos, La Alameda, San Pedrito e Ferreiro. Segnalato anche il livello di allerta di diversi fiumi nella regione, così come un’inondazione nella città orientale di Chivirico.
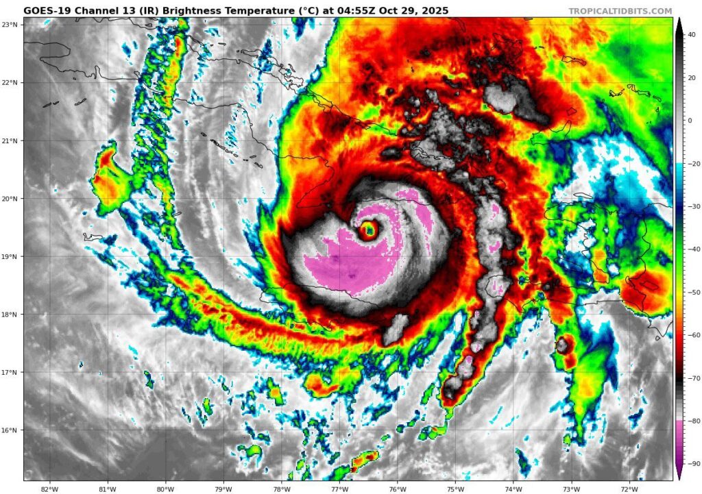
Dati meteo terrificanti
Secondo il National Hurricane Center statunitense (NHC) di Miami, martedì sera ora locale Melissa presentava venti sostenuti al culmine di 215 km/h e si spostava in direzione Nord/Est a una velocità di 15 km/h. Al momento dell’analisi, il centro dell’uragano si trovava a circa 175 km a Sud/Ovest di Guantánamo, Cuba, e si prevedeva che attraversasse l’isola nel corso della notte.
Le previsioni sono estremamente preoccupanti:
- Mareggiata ciclonica – Si attende uno storm surge fino a 3,6 metri in alcune regioni costiere, con il rischio di inondazioni costiere devastanti;
- Piogge torrenziali – Le precipitazioni potrebbero superare i 50 cm in alcune aree di Cuba orientale, con alto rischio frane.
La fragilità economica sotto la tempesta
L’impatto di Melissa non è solo una crisi meteorologica, ma anche un potenziale disastro socio-economico. L’uragano rischia di aggravare la già grave crisi economica di Cuba, caratterizzata da prolungati blackout elettrici, carenze di carburante e scarsità di cibo.
“Ci sarà molto lavoro da fare. Sappiamo che ci saranno molti danni“, ha ammesso il Presidente Díaz-Canel, consapevole che la ricostruzione richiederà uno sforzo titanico in un contesto di risorse limitate.
Danni e vittime nei Caraibi
Prima di puntare su Cuba, Melissa ha flagellato con violenza la Giamaica, lasciando dietro di sé danni estesi.
- Giamaica – Il vice presidente del Consiglio per la Gestione del Rischio di Disastri, Desmond McKenzie, ha parlato di danni estesi, in particolare a Clarendon e St. Elizabeth, quest’ultima “sott’acqua”. La tempesta ha danneggiato 4 ospedali, costringendo all’evacuazione di 75 pazienti da una struttura rimasta senza elettricità. Più di mezzo milione di utenze erano senza corrente martedì sera a causa di alberi e linee elettriche abbattute e diffuse inondazioni. Il governo giamaicano spera di riaprire gli aeroporti già giovedì per consentire la rapida distribuzione di aiuti di emergenza;
- Vittime – L’uragano è già responsabile della morte di 7 persone nei Caraibi, di cui 3 in Giamaica, 3 ad Haiti e 1 nella Repubblica Dominicana, dove si registra anche una persona dispersa.



Vuoi ricevere le notifiche sulle nostre notizie più importanti?