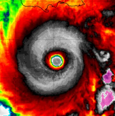
L’uragano Melissa, una tempesta tropicale che ha rapidamente guadagnato potenza nelle ultime ore, si è trasformato in un mostro di 4ª categoria sulla scala Saffir-Simpson, con venti che raggiungono i 230 km/h e un potenziale incremento fino a 250 km/h, al limite della 5ª categoria. Secondo il National Hurricane Center (NHC) degli Stati Uniti, il ciclone si trova a circa 205 km a Sud-Sud/Ovest di Kingston, in Giamaica, e sta avanzando lentamente verso Ovest a soli 7 km/h. La sua lentezza rappresenta una minaccia ancora più grave, poiché favorisce l’accumulo di piogge torrenziali e un innalzamento record dei livelli d’acqua. Minacciate vaste aree di Giamaica, Haiti e Repubblica Dominicana, con rischio inondazioni devastanti, frane e blackout diffusi. Con un moto lento ma inesorabile, l’uragano dovrebbe raggiungere la Giamaica nella notte tra lunedì e martedì ora locale, per poi dirigersi verso Cuba e successivamente alle Bahamas, portando con sé onde di tempesta alte fino a 4 metri e precipitazioni mai registrate prima in alcune aree.
Melissa, anatomia di un uragano
Nata come una depressione tropicale nell’Atlantico centrale, Melissa ha rapidamente guadagnato forza grazie alle temperature eccezionalmente alte dell’oceano e alle condizioni atmosferiche favorevoli. La temperatura superficiale del mare nei Caraibi, superiore ai 29°C, ha fornito l’energia necessaria per alimentare la tempesta fino a trasformarla in un uragano di 4ª categoria . Il vice direttore NHC, Jamie Rhome, ha dichiarato che “le condizioni in Giamaica peggioreranno rapidamente” e ha invitato la popolazione a “prepararsi per diversi giorni”. Le autorità meteorologiche giamaicane prevedono mareggiate eccezionali sul lato Sud dell’isola e un rischio elevato di esondazione di fiumi e canali.
Preparativi in Giamaica: rifugi aperti e infrastrutture sotto stress
Il governo giamaicano, guidato dal ministro Desmond McKenzie, ha attivato oltre 650 rifugi di emergenza su tutto il territorio e dichiarato la chiusura dei due principali aeroporti internazionali: Norman Manley a Kingston e Sangster a Montego Bay. Nelle aree costiere, come Old Harbour Bay, è stato ordinato l’abbandono immediato delle abitazioni a rischio. Tuttavia, molti residenti non hanno ancora risposto agli appelli delle autorità, spingendo il governo a valutare misure coercitive per garantire la sicurezza pubblica. Magazzini e centri logistici sono stati riforniti in anticipo, con migliaia di pacchi alimentari pronti per una distribuzione rapida. Anche gli studenti stranieri presenti sull’isola sono stati trasferiti in strutture più sicure, come alberghi dotati di generatori e riserve d’acqua.
Haiti e Repubblica Dominicana: prime vittime e distruzione
Il passaggio preliminare di Melissa su Haiti e la Repubblica Dominicana ha già causato 4 vittime e centinaia di case danneggiate. A Sainte-Suzanne, nel Nord/Est di Haiti, un ponte è crollato a causa dell’esondazione di un fiume, isolando intere comunità.
In Repubblica Dominicana, oltre 500mila persone sono rimaste senza acqua potabile, mentre smottamenti e alberi abbattuti hanno bloccato le principali vie di comunicazione.
L’allerta si sposta verso Cuba e le Bahamas
Il governo cubano ha emesso un allarme uragano per le province orientali di Granma, Santiago de Cuba, Guantánamo e Holguín, mentre Las Tunas si trova sotto avviso di tempesta tropicale. Le previsioni indicano che Melissa potrebbe scaricare fino a 30 cm di pioggia su alcune regioni cubane, con gravi rischi per le colture e le infrastrutture. Successivamente, entro mercoledì sera, la tempesta dovrebbe raggiungere il Sud/Est delle Bahamas, portando piogge intense anche sulle Turks e Caicos.




Vuoi ricevere le notifiche sulle nostre notizie più importanti?