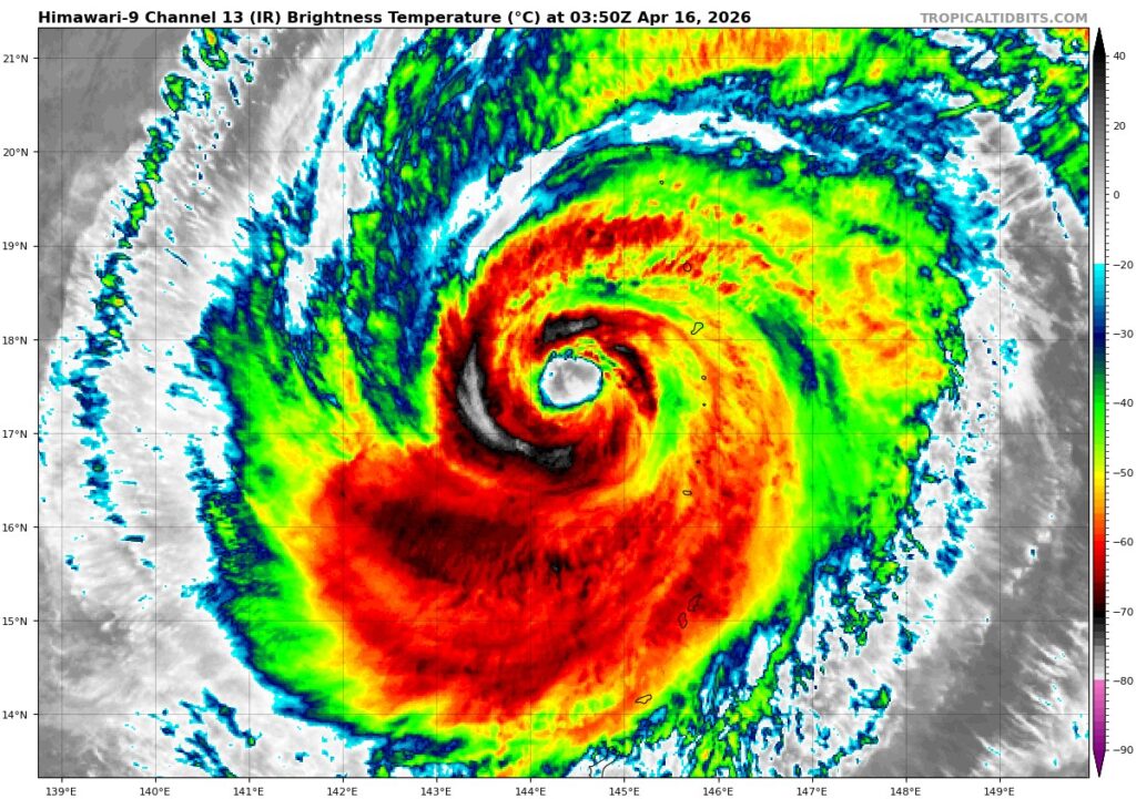
Il passaggio del super tifone Sinlaku ha lasciato una scia di devastazione senza precedenti sulle Isole Marianne Settentrionali, colpendo con una furia che non si vedeva da tempo in questa regione del Pacifico. Con venti sostenuti che hanno superato i 240 km/h al momento dell’impatto, la tempesta si è confermata come il ciclone tropicale più potente registrato finora nel 2026, flagellando le isole di Saipan e Tinian per diverse ore tra martedì e mercoledì. Le infrastrutture critiche sono state duramente colpite, con l’unico ospedale di Saipan rimasto vittima di gravi inondazioni e numerosi resort turistici che hanno perso i generatori di emergenza a causa delle raffiche violente. Mentre le autorità locali e la FEMA iniziano a mobilitare i soccorsi, il bilancio dei danni materiali appare catastrofico, con tetti di lamiera divelti e pali della luce abbattuti che hanno isolato intere comunità. Fortunatamente, nonostante la forza bruta della natura, non sono stati segnalati decessi, ma la strada verso il ripristino dei servizi essenziali sarà lunga e tortuosa per i circa 45mila abitanti dell’arcipelago.
Una crisi idrica ed energetica senza precedenti
Le autorità locali hanno avvertito che alcune delle aree più colpite potrebbero rimanere senza elettricità e acqua potabile per diverse settimane. Le strade principali sono attualmente impraticabili a causa di detriti e alberi sradicati, rendendo difficile persino il primo censimento accurato dei danni. A Tinian, i residenti hanno riferito di case scoperchiate e linee elettriche distrutte, mentre immagini provenienti da Saipan mostrano uno scenario quasi post-apocalittico con automobili scaraventate le une sopra le altre dalla forza del vento che ha strappato persino le ringhiere dei balconi.
La Croce Rossa Americana sta attualmente fornendo rifugio a oltre 1.000 persone tra Guam e le Marianne Settentrionali. Molti residenti si sono rifugiati in strutture d’emergenza prima che la tempesta colpisse con la sua massima intensità, una precauzione che probabilmente ha evitato una tragedia in termini di vite umane. La situazione resta però precaria, con le scorte di beni di prima necessità che iniziano a scarseggiare in alcuni negozi locali che hanno tentato di riaprire nonostante l’instabilità delle strutture e l’assenza di corrente elettrica.
Il mostro del Pacifico si sposta verso Nord
Secondo i dati del National Weather Service, Sinlaku ha mantenuto la forza di un super tifone con venti fino a 200 km/h anche mentre si allontanava dalle isole principali mercoledì sera. Il sistema meteorologico si sta ora muovendo verso Nord-Nord/Ovest, dirigendosi verso le isole vulcaniche meno popolate dell’estremo Nord dell’arcipelago. Sebbene l’intensità delle raffiche sia leggermente diminuita rispetto al momento del landfall, il mare resta estremamente agitato e le piogge torrenziali continuano a cadere su ampie zone della regione, ostacolando i primi voli di ricognizione.
L’agenzia federale FEMA ha già annunciato l’invio di ulteriore personale specializzato e carichi di rifornimenti per far fronte a quella che si prospetta come una delle emergenze umanitarie più complesse dell’anno nell’area pacifica. Anche Guam, pur non essendo stata colpita direttamente dall’occhio del tifone, ha subito venti di forza tropicale che hanno messo alla prova la resistenza delle basi militari americane e delle reti elettriche locali. Nelle prossime ore, l’attenzione si sposterà sulla valutazione strutturale degli edifici per garantire che il ritorno alle abitazioni avvenga in totale sicurezza.


Vuoi ricevere le notifiche sulle nostre notizie più importanti?