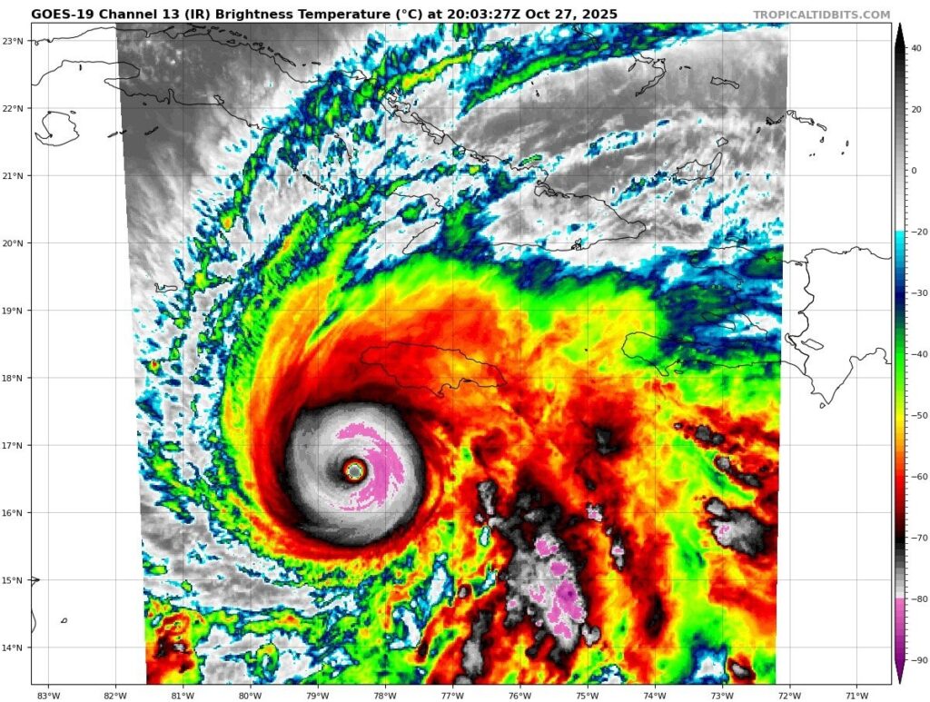
L’uragano Melissa spaventa la regione dei Caraibi, dopo aver raggiunto oggi la categoria 5 con venti che hanno toccato i 281km/h e minacciando un diluvio di pioggia. Le prime stime indicano che l’uragano potrebbe portare fino a 1000mm di pioggia, onde alte tra 2,7 e 4 metri e venti distruttivi al momento dell’impatto in Giamaica, previsto tra stasera e domani, con effetti potenzialmente devastanti per l’isola. Il Centro nazionale per gli uragani di Kingston ha avvertito che “si prevedono ingenti danni alle infrastrutture, interruzioni di corrente e di comunicazione di lunga durata, oltre all’isolamento di intere comunità”.
Nel corso della settimana, Melissa proseguirà verso le acque aperte del Nord Atlantico, ma non prima di colpire altre aree: Cuba, le Bahamas, le Isole Turks e Caicos e forse anche le Bermuda. La tempesta potrebbe toccare terra tre volte in meno di tre giorni: prima in Giamaica, poi nella parte sudorientale di Cuba (tra martedì 28 e mercoledì 29 ottobre) e infine nelle Bahamas meridionali (tra mercoledì 29 e giovedì 30).
Il Dipartimento di Stato USA ha pubblicato un avviso di sicurezza rivolto ai cittadini statunitensi che si trovano in Paesi lungo la traiettoria dell’uragano Melissa. In un post su X, le autorità di Washington hanno scritto che la tempesta dovrebbe intensificarsi ulteriormente nelle prossime ore, con “possibili fluttuazioni” prima di colpire la Giamaica. “Inondazioni catastrofiche e frane sono probabili: i cittadini statunitensi che potrebbero trovarsi lungo la traiettoria dell’uragano dovrebbero mettersi al riparo fino alla fine della tempesta“, si legge nel post.
L’ufficio delle Nazioni Unite per il coordinamento degli affari umanitari (Ocha) intende inviare il suo personale a Cuba e in Giamaica questa settimana, in vista dell’impatto dell’uragano. L’ufficio ha fatto sapere in una nota che il personale sarà inviato “per rafforzare il coordinamento e la risposta nella regione, se le condizioni lo consentiranno”. Le Nazioni Unite e i partner, prosegue il comunicato, stanno dando il loro sostegno alle autorità locali “in vista dell’impatto” dell’uragano.


Vuoi ricevere le notifiche sulle nostre notizie più importanti?