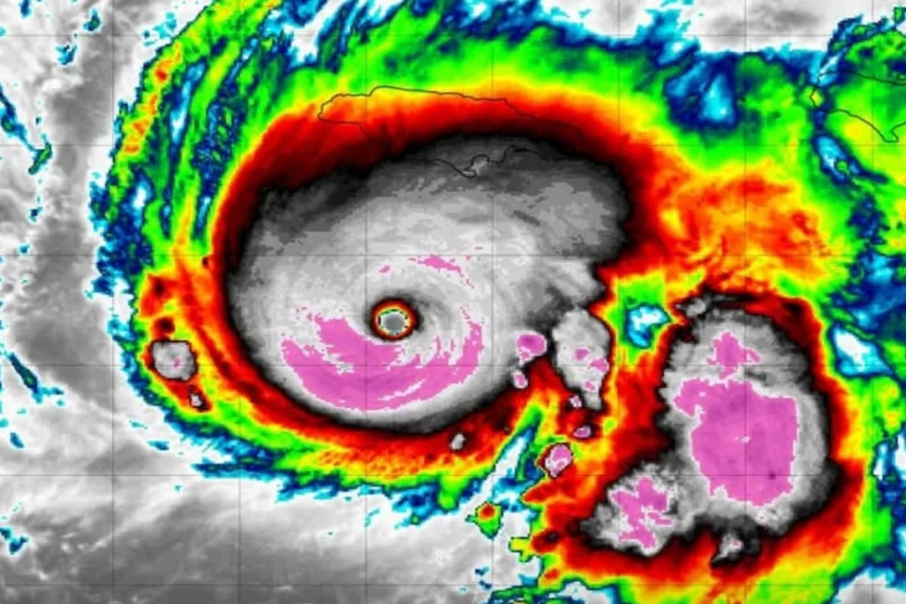
L’uragano Melissa continua a stupire per la sua eccezionale intensità. Durante una missione di ricognizione condotta dagli Hurricane Hunters dell’Aeronautica statunitense, è stata registrata una raffica di vento di 387,8 km/h, uno dei valori più alti mai misurati in un uragano atlantico. Il dato, rilevato da strumenti di bordo a quote superiori alla superficie terrestre, rappresenta una delle osservazioni più estreme nella storia della meteorologia tropicale moderna. Secondo le analisi, la misurazione è stata effettuata all’interno della eyewall, la zona più pericolosa del ciclone dove si concentrano i venti più violenti. Va precisato che il valore corrisponde a una raffica isolata registrata in quota, non alla velocità media sostenuta al suolo. Tuttavia, anche dopo la riduzione applicata per stimare i venti al livello del mare (circa il 90% del valore misurato), l’uragano Melissa ha confermato la sua appartenenza alla Categoria 5 sulla scala Saffir–Simpson, con venti sostenuti stimati tra 280 e 285 km/h e raffiche superiori ai 320 km/h.
Raffiche di tale intensità sono estremamente rare nell’Atlantico e si collocano tra i massimi valori mai osservati dagli aerei di ricognizione in un ciclone tropicale. Questi dati sono di importanza cruciale per la ricerca meteorologica, poiché permettono di approfondire la conoscenza della struttura interna degli uragani estremi e di migliorare la resistenza dei velivoli e delle apparecchiature impiegate in missioni di questo tipo.

L’evento conferma Melissa come uno degli uragani più potenti e meglio documentati del 2025, destinato a entrare negli archivi meteorologici come un punto di riferimento per l’analisi della dinamica dei cicloni tropicali ad altissima intensità. La raffica da 387,8 km/h resterà probabilmente come una delle più impressionanti mai osservate nel bacino atlantico, simbolo della forza straordinaria che questi sistemi possono sprigionare.



Vuoi ricevere le notifiche sulle nostre notizie più importanti?