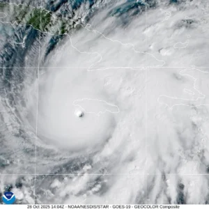
L’uragano Melissa, il peggiore del secolo, ha toccato terra come tempesta di categoria 5 a New Hope, nel sud della Giamaica, accompagnato da venti di quasi 300km/h, secondo quanto riporta il National Hurricane Center (NHC) degli Stati Uniti. È la tempesta più forte mai registrata ad aver colpito il Paese. Melissa, come ricorda la CNN, è anche uno degli uragani più forti mai registrati ad aver toccato terra nel bacino atlantico, a pari merito con solo altre due tempeste: Dorian del 2019 e l’uragano del Labor Day del 1935. Melissa si muoverà direttamente sulla Giamaica per le prossime ore, portando venti catastrofici, piogge torrenziali e uno storm surge (innalzamento di marea) potenzialmente letale. Sono attese devastanti inondazioni e numerose frane. Il suo centro si sta attualmente spostando verso nord-nordest a 14km/h.
Melissa è il quinto uragano più intenso mai registrato nel bacino atlantico in termini di pressione e il più forte ad aver colpito la terraferma dopo l’uragano Dorian nel 2019, secondo Michael Lowry, specialista in uragani ed esperto di mareggiate. Si tratta dello “scenario peggiore che si possa immaginare per la Giamaica”, ha affermato.
I meteorologi hanno avvertito che Melissa dovrebbe poi raggiungere la parte orientale di Cuba nella tarda serata locale di oggi o nelle prime ore di domani, per poi dirigersi verso le Bahamas sudorientali. Non si prevede che l’uragano colpisca gli Stati Uniti. La tempesta, che si muove lentamente, ha già causato la morte di 7 persone: almeno 3 persone in Giamaica, 3 persone ad Haiti e una persona nella Repubblica Dominicana, dove un’altra persona risulta ancora dispersa.
È allarme in Giamaica
Dalla mattinata di oggi, l’intero Stato ha visto arrivare i primi forti venti e le prime piogge, che hanno già causato numerose frane e alberi caduti, oltre a interruzioni quasi continue dell’energia elettrica. “Per la Giamaica sarà sicuramente la tempesta del secolo”, ha dichiarato Anne-Claire Fontan, specialista di cicloni tropicali dell’Organizzazione meteorologica mondiale, come riporta l’emittente “Cbs news”.
Secondo il Servizio meteorologico della Giamaica, Melissa è l’uragano più forte che abbia mai colpito la Giamaica dall’inizio delle registrazioni nel 1851. Mentre Melissa era ancora in avvicinamento, con le strade della capitale Kingston quasi deserte, il vice presidente del Consiglio per la gestione dei rischi di catastrofi della Giamaica, Desmond McKenzie, aveva esortato la popolazione ad andare nei rifugi e a rimanere al chiuso. “Giamaica, non è il momento di essere coraggiosi“, ha detto.
Le autorità giamaicane hanno però espresso preoccupazione che non ci fossero abbastanza persone che andavano nei rifugi: ne sono stati aperti oltre 130 in tutta l’isola, ma alla fine di ieri meno di mille persone avevano ottemperato agli ordini di evacuazione. “Non ci sono infrastrutture nella regione in grado di resistere a un uragano di categoria 5″, ha detto il Primo Ministro Andrew Holness, “la questione ora è la velocità della ripresa. Questa è la sfida”.
Darryl Vaz, Ministro dei Trasporti e dell’energia, ha affermato che domani le squadre puliranno ed effettueranno dei test nei due principali aeroporti internazionali dell’isola, nella speranza di ricevere voli di soccorso già giovedì 30 ottobre. Agenzie delle Nazioni Unite e decine di ong avevano preparato cibo, medicine e altri beni di prima necessità in attesa di una corsa alla distribuzione dopo la tempesta. Matthew Samuda, Ministro dell’acqua e dell’ambiente della Giamaica, ha dichiarato di avere a disposizione più di 50 generatori da utilizzare dopo la tempesta, ma ha avvertito la popolazione di mettere da parte acqua pulita e di usarla con parsimonia. “Ogni goccia sarà importante”, ha affermato.
600mila evacuati a Cuba
A Cuba, le autorità stanno provvedendo all’evacuazione di oltre 600mila persone, anche da Santiago che è la seconda città più grande dell’isola, in vista dell’arrivo dell’uragano Melissa. Le autorità della provincia orientale cubana di Holguín si sono preparate a evacuare più di 200mila persone oggi, che si aggiungono a un numero simile di persone già messe in sicurezza dalla città di Banes. I resoconti sui social media e sulla televisione di Stato hanno mostrato autobus blu e bianchi che trasportavano cittadini verso i rifugi. “Questo fenomeno è molto pericoloso”, ha dichiarato il vice Primo Ministro Eduardo Martínez in una dichiarazione rilasciata da Banes, dove si trovava in quello che sembrava essere un rifugio. “È senza precedenti”, ha aggiunto riferendosi a Melissa.






Vuoi ricevere le notifiche sulle nostre notizie più importanti?