Uragano Atlantico
Dati, news e previsioni sugli uragani nell’Atlantico
IL METEO NEL MONDO
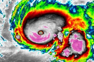
L’enorme uragano Melissa: coprirebbe l’intera Francia
IL METEO NEL MONDO
Uragano Melissa: personale ONU a Cuba e in Giamaica questa settimana
IL METEO NEL MONDO
































Vuoi ricevere le notifiche sulle nostre notizie più importanti?